¾È³çÇϼ¼¿äÃÊ¿øÁö±âÀÔ´Ï´Ù^^ Âî´ÂµíÇÑ Æø¿°¼Ó¿¡¼µµ ¸¹Àº Á¶È²À» º¸¿©ÁÖ°í ÀÖ½À´Ï´Ù ºØ¾î¸¦ 1Åæ ¹æ·ùÇÑ ÀÌÈÄ 100¼öÀÌ»óÀÇ Á¶È²ÀÌ °è¼Ó À̾îÁö°í ÀÖ½À´Ï´Ù ¶ÇÇÑ ÆòÀÏ ºØ¾î ¹æ·ù´Â °è¼ÓÇÏ¿© ¹æ·ùÇϰí ÀÖ°í ¹«´õÀ§¼Ó ¿¡¼µµ ¿¡¾îÄÁ ¹Ù¶÷À» ¸ÂÀ¸¸ç ³¬½ÃÇÒ¼öÀÖ´Â Æí¸®ÇÑ ½Ã½ºÅÛÀÇ ÀåÁ¡À» °®Ãß°íÀÖ´Â ¹æ°¡·ÎÀÔ´Ï´Ù ¸¹Àº »ç¶û ºÎʵ叮¸ç Á¶È²»çÁø ¿Ã·Áº¾´Ï´Ù^^ ¹«°Å¿ö¼ µé¾î³»Áú ¸øÇϽþî ÀÌ´ë·Î Âï¾ú½À´Ï´Ù
¾È³çÇϼ¼¿äÃÊ¿øÁö±âÀÔ´Ï´Ù^^
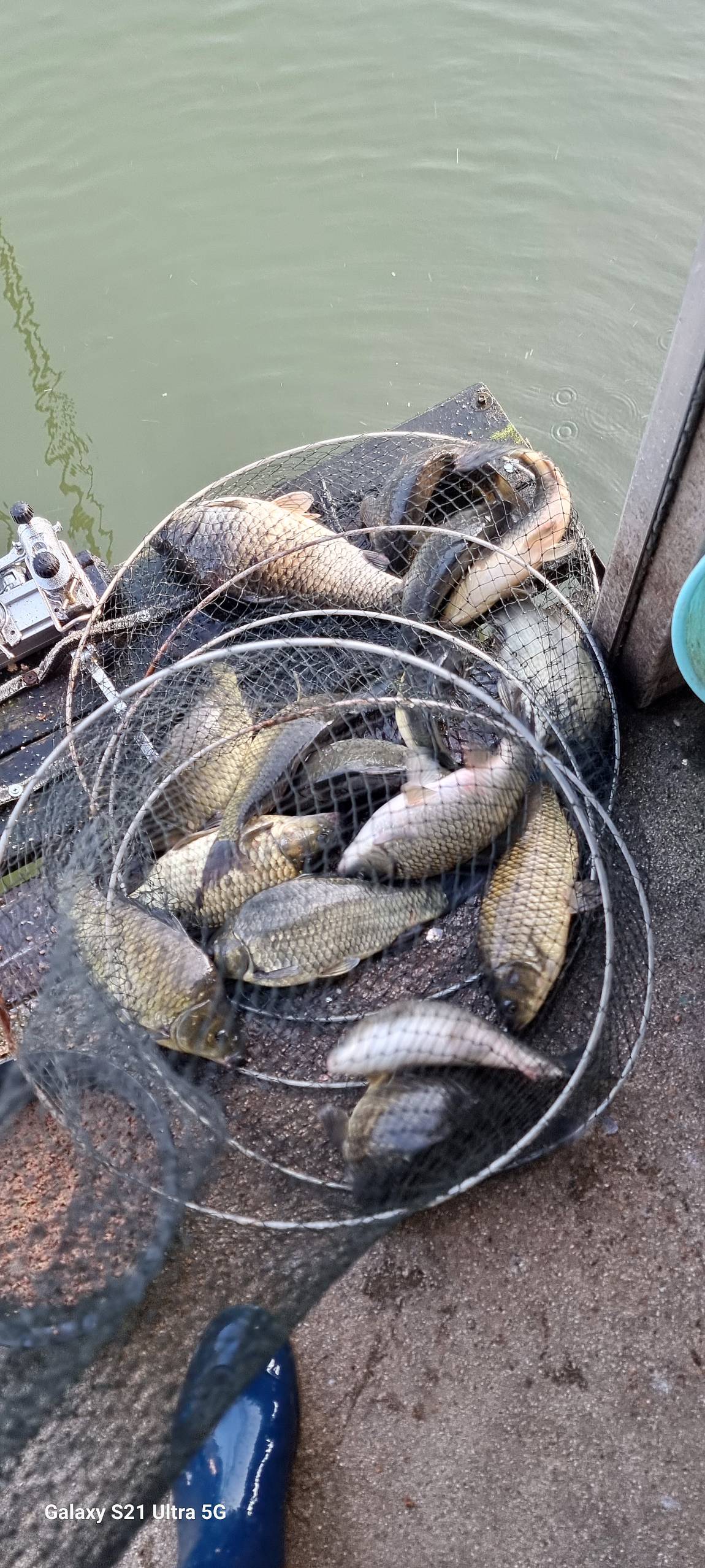
Âî´ÂµíÇÑ Æø¿°¼Ó¿¡¼µµ ¸¹Àº Á¶È²À» º¸¿©ÁÖ°í ÀÖ½À´Ï´Ù
ºØ¾î¸¦ 1Åæ ¹æ·ùÇÑ ÀÌÈÄ 100¼öÀÌ»óÀÇ Á¶È²ÀÌ °è¼Ó À̾îÁö°í ÀÖ½À´Ï´Ù
¶ÇÇÑ ÆòÀÏ ºØ¾î ¹æ·ù´Â °è¼ÓÇÏ¿© ¹æ·ùÇϰí ÀÖ°í
¹«´õÀ§¼Ó ¿¡¼µµ ¿¡¾îÄÁ ¹Ù¶÷À» ¸ÂÀ¸¸ç ³¬½ÃÇÒ¼öÀÖ´Â
Æí¸®ÇÑ ½Ã½ºÅÛÀÇ ÀåÁ¡À» °®Ãß°íÀÖ´Â ¹æ°¡·ÎÀÔ´Ï´Ù
¸¹Àº »ç¶û ºÎʵ叮¸ç
Á¶È²»çÁø ¿Ã·Áº¾´Ï´Ù^^
¹«°Å¿ö¼ µé¾î³»Áú ¸øÇϽþî
ÀÌ´ë·Î Âï¾ú½À´Ï´Ù